’Grow up’ on youth crime
Detention should no longer be a last resort for young offenders, but authorities need to “grow up“ and create a detention system that works,...
A new benchmark
Of late, there has been a new benchmark for subjects that used to be all but ignored by ‘polite society’ – subjects like domestic...
Celebrating decades in the job
The days of a ’job for life’ might be over for most workers, but there are still folks clocking up decades of service to...
Meetings about meetings
It must feel like having meetings about meetings for the councillors of the Southern Downs Regional Council lately.
At the council’s 15 May meeting, a...
No agreement yet on water
It almost seemed a case of drip-feeding information to get it right in the Southern Downs Regional Council’s crafting of a new agreement for...
Temperatures drop sub-zero as Granite Belt enjoys first frost of the year
A cold front moving from down south has produced some of the Granite Belt’s first frosty mornings for 2024.
Sunday morning was the coldest start...
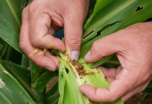
Reports of fall armyworm infestations in winter grazing crop
Reports of fall armyworm infestations in a specific type of grazing oat across Queensland’s southern growing regions has prompted an immediate warning for graziers...
Kicking off grassroots campaign
Launching his bid for a seat in the federal senate, Milmerran man Duke Wong has kicked off his campaign with a grassroots approach by...
Celebrating the unsung heroes
As the Southern Downs gears up to celebrate National Volunteer Week, the Southern Downs Regional Council is extending its gratitude to the army of...
Sparking solutions based focus on mental health
The Queensland Commissioner for Mental Health, Ivan Frkovic, addressed an engaged audience to foster a solutions-oriented discussion on mental health systems, processes, and policies.
The...
A third of parents are concerned for their kid’s mental health
New Beyond Blue data reveals that 60 per cent of parents with primary-school-aged children are seriously concerned about their child’s mental health, with 1...
Mental health funding in federal budget questioned
Mental health was a prominent feature in this year’s federal budget, but health professionals have raised concerns about whether the allocated funds will be...

















